«Ύπουλος» αστεροειδής κοντά στη Γη κρυβόταν από τη λάμψη του Ήλιου
Καλλιτεχνική απεικόνιση ενός αστεροειδούς που κρύβεται από τη λάμψη του Ήλιου
DOE/FNAL/DECam/CTIO/NOIRLab/NSF/AURA/J. da Silva/SpaceengineΕκτός από εκείνους που βρίσκονται στην Κύρια Ζώνη των αστεροειδών, ανάμεσα στις τροχιές του Άρη και του Δία, κάποιοι αστεροειδείς κρύβονται σε σημεία που είναι δύσκολο να εντοπιστούν – ακόμη και ανησυχητικά κοντά στη Γη.
Ένας τέτοιος «κρυμμένος» αστεροειδής εντοπίστηκε πρόσφατα από επιστήμονα του Ινστιτούτου Κάρνεγκι. Ονομάζεται 2025 SC79 και είναι το 39ο μέλος της ομάδας γεωπλήσιων αστεροειδών Atira, σύμφωνα με το Universe Today.
Οι αστεροειδείς αυτού του τύπου είναι εξαιρετικά δύσκολο να εντοπιστούν, καθώς το αδύναμο φως τους καλύπτεται από τη λάμψη του Ήλιου. Ο συγκεκριμένος είναι μόλις ο δεύτερος γνωστός αστεροειδής με τροχιά πλήρως μέσα στην τροχιά της Αφροδίτης. Διασταυρώνεται με την τροχιά του Ερμή και ολοκληρώνει μία πλήρη περιφορά γύρω από τον Ήλιο σε μόλις 128 ημέρες. Έχει την τρίτη συντομότερη περίοδο περιφοράς από όλους τους γνωστούς αστεροειδείς – οι δύο ταχύτεροι χρειάζονται 115 ημέρες.

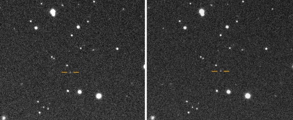
Οι δύο εικόνες δείχνουν τον αστεροειδή 2025 SC79 να κινείται στο διάστημα. Έχει την τρίτη μικρότερη περίοδο περιφοράς από όλους τους αστεροειδείς, μόλις 128 ημέρες
Scott S. SheppardΟ αστρονόμος Σκοτ Σ. Σέπαρντ εντόπισε τον αστεροειδή στις 27 Σεπτεμβρίου, χρησιμοποιώντας την Κάμερα Σκοτεινής Ενέργειας του τηλεσκοπίου Blanco που ανήκει στο Εθνικό Ίδρυμα Επιστήμης (NSF) των ΗΠΑ. Το τηλεσκόπιο αυτό αναζητά αστεροειδείς που μπορούν να προκαλέσουν καταστροφές, και ο 2025 SC79 πληροί τις προϋποθέσεις έχοντας διάμετρο περίπου 700 μέτρα.
Αν και πολύ μικρότερος από τον αστεροειδή Chicxulub που αφάνισε τους δεινόσαυρους, ένας αστεροειδής αυτού του μεγέθους θα μπορούσε να προκαλέσει καταστροφή ηπειρωτικής κλίμακας, σκοτώνοντας δισεκατομμύρια ανθρώπους και ζώα.
Η ανακάλυψη του 2025 SC79 επιβεβαιώθηκε από δύο ακόμη τηλεσκόπια: το Gemini του NSF και το Magellan του Ιδρύματος Κάρνεγκι.
«Αστεροειδείς του λυκόφωτος»
«Οι πιο επικίνδυνοι αστεροειδείς είναι και οι πιο δύσκολοι να εντοπιστούν», εξήγησε ο Σέπαρντ σε ανακοίνωση. «Οι περισσότερες έρευνες για αστεροειδείς εντοπίζουν αυτά τα αντικείμενα στο σκοτάδι της νύχτας, όπου είναι πιο εύκολο να τα δει κανείς. Όμως, οι αστεροειδείς που κρύβονται κοντά στον Ήλιο μπορούν να παρατηρηθούν μόνο κατά τη διάρκεια του λυκόφωτος, όταν ο Ήλιος είναι έτοιμος να ανατείλει ή να δύσει. Αν αυτοί οι “αστεροειδείς του λυκόφωτος” πλησιάσουν τη Γη, θα μπορούσαν να αποτελέσουν σοβαρό κίνδυνο πρόσκρουσης».
Προς το παρόν, ο 2025 SC79 θα εξαφανιστεί πίσω από τον Ήλιο και δεν θα είναι ορατός για μερικούς μήνες. Όταν επιστρέψει, οι αστρονόμοι θα μπορέσουν να τον μελετήσουν πιο αναλυτικά, εστιάζοντας στη σύστασή του, η οποία θα μπορούσε να αποκαλύψει πώς αντέχει την ακραία θερμότητα του Ήλιου.
ΣΧΕΤΙΚΕΣ ΕΙΔΗΣΕΙΣ
Τα σχέδια για πυρηνική επίθεση στον αστεροειδή που απειλεί να χτυπήσει τη Σελήνη
Ανακαλύφθηκε «σχεδόν φεγγάρι» που συνόδευε τη Γη επί 60 χρόνια χωρίς να το καταλάβουμε
Έρχεται ο Άποφις το 2029: Πρώτη φορά ορατός με γυμνό μάτι ένας «επικίνδυνος» αστεροειδής
Ο αστεροειδής που θα μπορούσε να αλλάξει την παγκόσμια οικονομία και την κατανόηση του σύμπαντος
Αυξημένα μέτρα οδικής ασφάλειας σε όλη την επικράτεια για την 25η Μαρτίου
15:39
Η εκτίμηση της γερμανικής Berliner Morgenpost για το κόστος των διακοπών στην Ελλάδα μετά τον πόλεμο
15:27
LIVE ΟΛΕΣ ΟΙ ΕΞΕΛΙΞΕΙΣ: Στο στόχαστρο του Ισραήλ το πρόγραμμα βαλλιστικών πυραύλων του Ιράν - Εκατέρωθεν πλήγματα
15:21
BBC: Η Βρετανία δεν έδωσε άδεια για χρήση της βάσης στο Ακρωτήρι στις ΗΠΑ - Ανησυχεί η Λευκωσία
15:15